Największy huragan w historii kraju. Melissa niesie potrójne zagrożenie

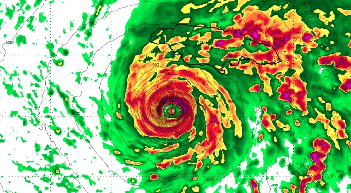
Jamajka przygotowuje się na bezpośrednie uderzenie huraganu Melissa, który w niedzielę osiągnął czwartą kategorię w pięciostopniowej skali Saffira-Simpsona. Żywioł, poruszający się bardzo powoli, może przynieść rekordowo silny wiatr, falę sztormową i opady sięgające nawet 1000 milimetrów. Synoptycy ostrzegają przed katastrofalnymi powodziami i osuwiskami.

2025-10-26, 21:14

Największy huragan w historii kraju. Melissa niesie potrójne zagrożenie
Huragan Melissa przybiera na sile. Foto: x.com/@HurricaneAddict

Huragan Melissa. Jamajka przygotowuje się na uderzenie

Centrum huraganu Melissa znajduje się około 180 kilometrów na południe od Kingston na Jamajce i powoli przesuwa się na zachód z prędkością około 5 km/h. Amerykańskie Narodowe Centrum Huraganów zaapelowało, by mieszkańcy Jamajki natychmiast poszukali schronienia. Synoptycy ostrzegają, że silny wiatr i ulewne deszcze w niedzielę i poniedziałek mogą doprowadzić do katastrofalnych, zagrażających życiu powodzi błyskawicznych oraz licznych osuwisk.

Jamajka ma znaleźć się w samym sercu największego uderzenia huraganu Melissa, który niesie potrójne zagrożenie - ekstremalne opady deszczu, niszczący wiatr i potężną falę sztormową. Premier Andrew Holness zaapelował do obywateli, by potraktowali nadchodzące niebezpieczeństwo z najwyższą powagą.

Według prognoz żywioł może uderzyć w wyspę w poniedziałek wieczorem lub we wtorek rano. Evan Thompson z jamajskiej służby meteorologicznej wyjaśnił, że fala sztormowa ma wystąpić głównie po południowej stronie wyspy, w miarę jak Melissa zbliży się do wybrzeża.

Radar pogodowy. Tak rozwija się Melissa [NA ŻYWO]:

Haiti i Dominikana już odczuwają skutki Melissy

Ulewne deszcze od kilku dni nawiedzają Haiti i Dominikanę, powodując powodzie i osuwiska. W Haiti zginęły co najmniej trzy osoby, w tym dwie w wyniku osunięcia ziemi. W Dominikanie życie straciła jedna osoba, a ponad tysiąc mieszkańców zostało ewakuowanych. Południowe Haiti i część Kuby pozostają w stanie czujności. Eksperci ostrzegają, że huragan Melissa, poruszając się bardzo wolno, może wyrządzić wyjątkowo poważne szkody na Karaibach.

Huragan Melissa nabiera mocy. Jamajce grozi rekordowe uderzenie

Według prognoz huragan Melissa będzie nadal zyskiwać na sile w niedzielę, zwiększając niszczącą moc wiatru i wysokość fal w miarę zbliżania się do Jamajki. Synoptycy przewidują, że uderzy w wyspę jako huragan czwartej kategorii, choć nie można wykluczyć, że osiągnie piątą - co uczyniłoby go najsilniejszym w historii Jamajki. Eksperci podkreślają, że tak gwałtowne zjawiska nasilają się wraz z postępującym globalnym ociepleniem.

Najtrudniejsza sytuacja pogodowa spodziewana jest na Jamajce, Haiti i południu Dominikany. W dalszej kolejności zagrożone będą wschodnia Kuba, południowe Bahamy oraz Turks i Caicos. W południowej części Hispanioli i na Jamajce suma opadów może sięgnąć nawet 1000 mm do wtorku, a lokalnie jeszcze więcej. Na wschodniej Kubie prognozuje się do 500 mm deszczu.

Dlaczego huragan Melissa jest tak groźny?

Huragan niemal się nie przemieszcza, co oznacza, że ulewne deszcze przez wiele dni spadają na te same obszary. Jak informuje CNN, taka sytuacja prowadzi do katastrofalnych powodzi, jak podczas huraganu Harvey w Teksasie w 2017 r. czy Doriana na Bahamach w 2019 r.

Dodatkowym zagrożeniem są górzyste tereny Haiti, Jamajki i Dominikany, które wypychają wilgotne powietrze ku górze, potęgując intensywność opadów i zwiększając ryzyko osuwisk. Utrzymaniu siły burzy sprzyjają też wyjątkowo ciepłe, głębokie wody Morza Karaibskiego, które dostarczają huraganowi energii przez długi czas.

Czytaj także:

Źródła: CNN/Fox News/nł

Polecane

Wróć do strony głównej