Huragan Melissa uderza w Jamajkę. Na wyspie utknęli Polacy
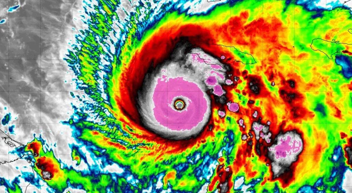
Epicentrum huraganu Melissa zbliża się do wybrzeży Jamajki. Wiatr osiąga prędkość do 280km/h. Na wyspie utknęło sporo Polaków, przebywających na wakacjach. Z powodu niebezpiecznych warunków, zamknięto już wszystkie lotniska, a MSZ apeluje o ukrycie się w bezpiecznym miejscu.
2025-10-28, 07:06
Huragan Melissa na Jamajce. Najgorsze dopiero przed nami
Huragan Melissa gwałtownie się nasila. Żywioł osiągnął już najwyższą, piątą kategorię w skali Saffira-Simpsona. Prędkość wiatru dochodzi do 280km/h. Bezpośrednie spotkanie z żywiołem nie pozostawia szans na przeżycie. Huragan dotarł już do Jamajki. Meteorolodzy ostrzegali, że największą moc może osiągnąć w nocy z poniedziałku na wtorek. Prognoza pokazuje jednak, że epicentrum zjawiska znajdzie się nad wyspą dziś około 13.00 czasu lokalnego (godzina 19.00 w Polsce).
Narodowe Centrum Huraganów z siedzibą w Miami informuje, że na Jamajce na metr kwadratowy może spaść do stu litrów deszczu. Fale sztormowe osiągają wysokość czterech metrów. Powoduje to szkody w infrastrukturze, które odetną lokalne społeczności od świata. Żywioł przemieszcza się jednak z bardzo niewielką prędkością, co powoduje większe opady na metr kwadratowy.
Polacy na Jamajce. MSZ monitoruje sytuację
Media donoszą, że na Jamajce przebywa obecnie sporo Polaków. Rzecznik Ministerstwa Spraw Zagranicznych w rozmowie z RMF24 przekazał, że polskie służby konsularne monitorują sytuację na miejscu. Maciej Wiewiór apelował o znalezienie bezpiecznego schronienia na czas huraganu. Wszystkie lotniska w kraju zostały już zamknięte. Wśród Polaków, którzy informowali w sieci, że utknęli na wyspie, znalazł się aktor Michał Żebrowski wraz z rodziną.
Po Jamajce huragan zaatakuje Kubę
Żywioł będzie się przemieszczać w stronę Kuby, a następnie skręci na wschód. Nie dotrze do Stanów Zjednoczonych. W miarę jak reszta Atlantyku się ochładza, Karaiby pozostają w zasięgu ciepłych wód, które utrzymują się do późnej jesieni. Ciepłe wody dostarczają dodatkowej energii niezbędnej do powstawania i wzmacniania się huraganów. Sezon tych zjawisk na Atlantyku oficjalnie kończy się 30 listopada.
Zanim huragan pojawił się na Jamajce, siał spustoszenie na Haiti i Dominikanie. Na Haiti odnotowano co najmniej trzy zgony z powodu burzy, z czego dwie były wynikiem osuwiska. Na Dominikanie zginęła co najmniej jedna osoba, a ponad 1 tys. osób ewakuowano lub zostało przesiedlonych.
Czytaj także:
- Powódź w Tarragonie. Ulewne deszcze paraliżują Katalonię, samochody zmywane z ulic [WIDEO]
- Drugie silne trzęsienie ziemi na Filipinach. Są ofiary śmiertelne
- Pierwsze takie tornado od 12 lat. "Czegoś takiego jeszcze nie widziano"
Źródła: PolskieRadio24.pl/IAR/JL