Melissa przybiera na sile. "Infrastruktura nie wytrzyma". Nagrania z wnętrza oka huraganu

Nad Jamajkę nadciąga Melissa - potężny huragan piątej kategorii, któremu towarzyszą obfite opady deszczu oraz wiatr, którego prędkość dochodzi do 280 km/h. Mieszkańcy przygotowują się na najgorsze.

2025-10-28, 11:29

Melissa przybiera na sile. "Infrastruktura nie wytrzyma". Nagrania z wnętrza oka huraganu
Huragan Melissa we wtorek uderzy w Jamajkę. Foto: cyclonicwx.com/screen

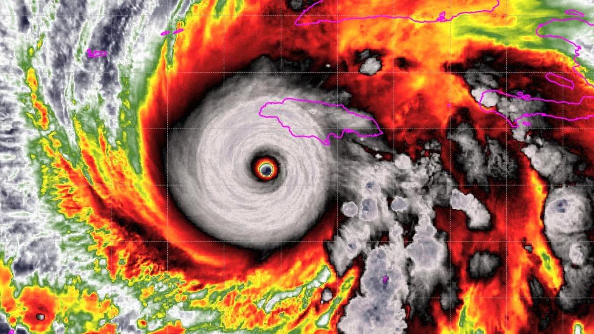
Huragan Melissa przybiera na sile

Żywioł, który w ostatnich godzinach przybrał na sile (w poniedziałek wiatr wiał z prędkością 260 km/h; we wtorek - 280 km/h), we wtorek uderzy w Jamajkę. Jest to najmocniejszy huragan w tym roku - a nie jest wykluczone, że okaże się najgroźniejszy w historii wyspy. Siła Melissy wynika m.in. z jej wolnego tempa - porusza się wolniej, niż większość ludzi chodzi. Oznacza to, że obszary na jej drodze mogą być narażone na wyniszczające warunki znacznie dłużej niż podczas większości huraganów.

Nad ranem ciśnienie w oku huraganu spadło do 901 hektopaskali. Im niższe ciśnienie, tym silniejsza burza, więc ten spadek wskazuje, że Melissa może być jeszcze potężniejsza. Dla porównania, najniższe ciśnienie podczas huraganu Katrina wyniosło 902 hektopaskale, co sprawia, że ​​Melissa jest jeszcze bardziej gwałtowna niż huragan z 2005 roku, który zdewastował części wybrzeża Zatoki Meksykańskiej w USA.

Trzy osoby zginęły podczas przygotowań na nadejście Melissy

Narodowe Centrum Huraganów prognozuje, że na Jamajce na metr kwadratowy może spaść do 100 litrów deszczu. Wzdłuż południowego wybrzeża Jamajki prawdopodobny jest wzrost poziomu morza nawet o cztery metry oraz niszczycielskie fale.

Plaża w Portmore na Jamajce. Mężczyzna przechodzi obok domu uszkodzonego w wyniku wstępnych podmuchów wiatru huraganu Melissa Plaża w Portmore na Jamajce. Mężczyzna przechodzi obok domu uszkodzonego w wyniku wstępnych podmuchów wiatru huraganu Melissa

Resort zdrowia na Jamajce podał w poniedziałek wieczorem, że trzy osoby zginęły podczas przygotowań do nadejścia huraganu, tnąc gałęzie drzew i pracując na drabinach. "Apelujemy do społeczeństwa o zachowanie szczególnej ostrożności: czynności takie jak wspinanie się na dachy, zabezpieczanie worków z piaskiem czy ścinanie drzew mogą wydawać się łatwe do wykonania, ale nawet drobne błędy w warunkach huraganu mogą skutkować poważnymi obrażeniami, a nawet śmiercią. Jazda przez zalane drogi lub obszary zasypane gruzem jest również niezwykle niebezpieczna" - czytamy w komunikacie ministerstwa.

Dodano, że "ośrodki zdrowia pozostają zamknięte, ale szpitale są otwarte i udzielają pomocy osobom poszkodowanym w wyniku huraganu". Zaapelowano też o "rozwagę, jak również o dbanie o bezpieczeństwo i ochronę siebie i swojej rodziny podczas burzy".

"Infrastruktura nie wytrzyma huraganu piątej kategorii"

Władze Jamajki wezwały obywateli do udania się na wyższe tereny i do schronów. Premier Jamajki Andrew Holness powiedział, że największe zniszczenia mogą wystapić na zachodnim krańcu wyspy. Powiedział CNN, że nie wierzy, aby jakakolwiek infrastruktura w tym regionie wytrzymała huragan piątej kategorii, więc mogą wystąpić znaczne zakłócenia.

Serwis Fox Weather podaje, że na wtorek prognozowane są "katastrofalne, zagrażające życiu gwałtowne powodzie i liczne osuwiska". A silny wiatr i "warunki pogodowe o sile sztormu tropikalnego już wpływają na niektóre części wyspy". Daryl Vaz, który jest ministrem energii, telekomunikacji i transportu Jamajki przekazał, że we wschodniej części wyspy już występują przerwy w dostawach prądu, a drogi blokują powalone drzewa.

Melissa podąży w kierunku Kuby

Żywioł będzie się przemieszczać w stronę Kuby, a następnie skręci na wschód. Nie dotrze do USA. Łącznie Melissa spowodowała już śmierć siedmiu osób - trzech na Jamajce, trzech na Haiti i jednej na Dominikanie. Na Dominikanie 79-letni mężczyzna został znaleziony martwy po porwaniu przez strumień, a 13-letni chłopiec zaginął.

Czytaj także:

Źródła: Polskie Radio/PolskieRadio24.pl/Fox Weather/X/łl

Polecane

Wróć do strony głównej